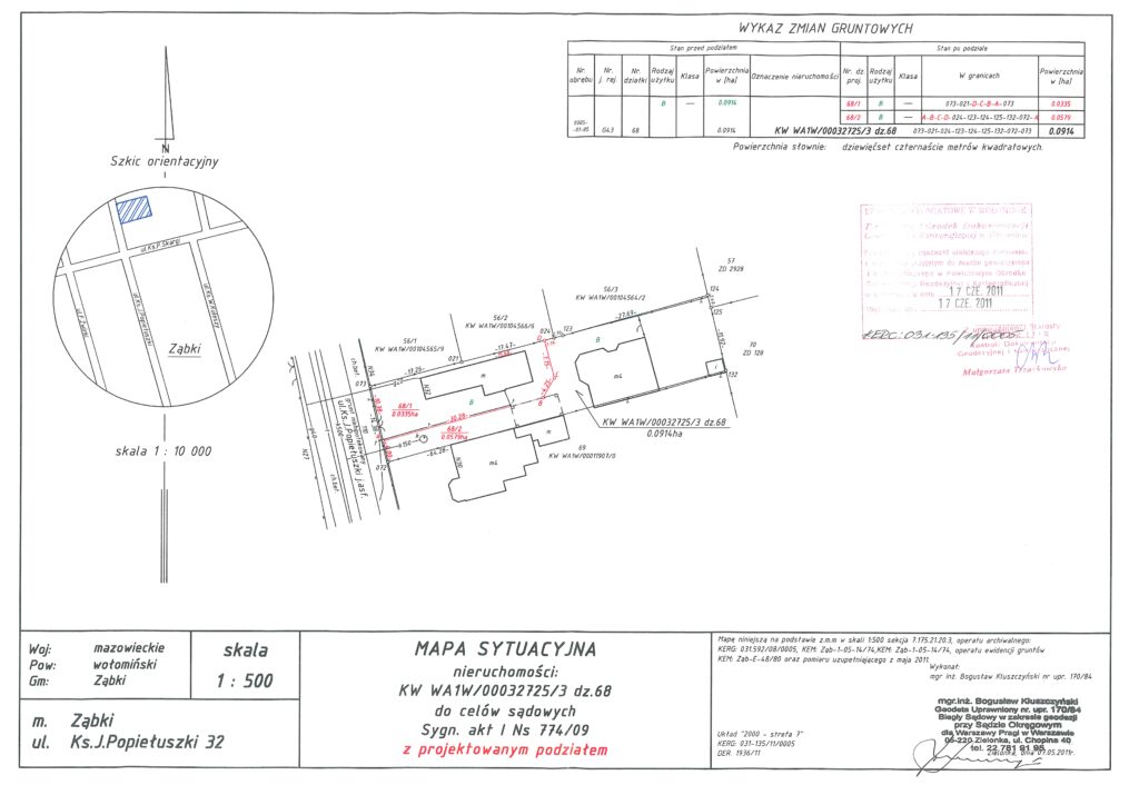
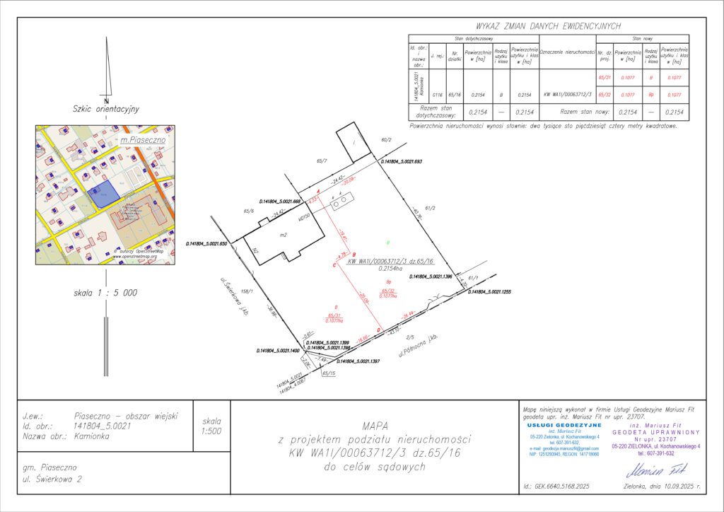
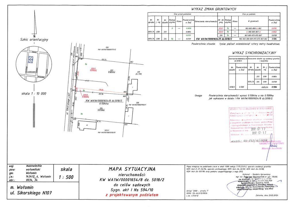
Mapy do celów sądowych – dokumentacja geodezyjna jako dowód w sprawie
Wykonuję mapy i opracowania geodezyjne do celów sądowych – zarówno na potrzeby postępowań cywilnych, jak i administracyjnych.
Każda dokumentacja powstaje w oparciu o wiarygodne dane ewidencyjne, pomiary terenowe i analizę stanu prawnego nieruchomości, z zachowaniem obowiązujących przepisów technicznych i proceduralnych.
Opracowania te mogą być składane jako dowody w sprawach o granice, podział majątku, zasiedzenie, służebność, eksmisję czy naruszenie posiadania.
Mapy sądowe wykonuję najczęściej w następujących przypadkach:
Zakres opracowania obejmuje m.in.:
Proces przygotowania mapy do celów sądowych obejmuje:
Dokumentację do celów sądowych przekazuję w formie:
Mapy do celów sądowych przygotowuję m.in. dla:
Skontaktuj się ze mną telefonicznie, mailowo lub przez formularz. Wyjaśnię, jakie działania są potrzebne w Twojej sprawie i zaproponuję najlepsze rozwiązanie. Otrzymasz też orientacyjną wycenę.
Po akceptacji oferty przygotowuję niezbędne dokumenty i zgłaszam pracę w odpowiednim ośrodku geodezyjnym. Informuję Cię o przewidywanym czasie realizacji i ewentualnych dokumentach, które należy dostarczyć.
W ustalonym terminie wykonuję pomiary geodezyjne na działce. Następnie opracowuję dokumentację w formie operatu technicznego oraz – w zależności od rodzaju usługi – mapy, szkice, protokoły.
Po zatwierdzeniu operatu przez urząd (jeśli wymagane), gotowe dokumenty przekazuję w umówionej formie – papierowej lub elektronicznej. Otrzymujesz komplet materiałów potrzebnych do dalszych działań: budowy, podziału, uzyskania decyzji.
Lorem ipsum dolor sit amet, consectetur adipiscing elit. Ut elit tellus