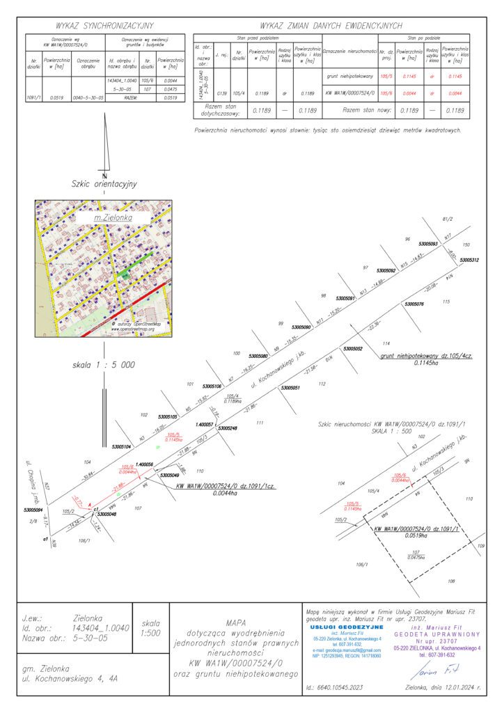
Mapa z rozliczeniem nieruchomości hipotecznej – dokumentacja do celów prawnych i sądowych
Wykonuję mapy z rozliczeniem nieruchomości hipotecznych – opracowania geodezyjne, które umożliwiają precyzyjne odwzorowanie dawnych podziałów zapisanych w księgach hipotecznych, rejestrach pomiarowych i dokumentach archiwalnych.
Są one niezbędne w sprawach dotyczących podziałów majątku, zniesienia współwłasności, korekty wpisów w księgach wieczystych oraz przy analizie historii własnościowej nieruchomości.
Dzięki tym mapom możliwe jest zobrazowanie układu dawnych części hipotecznych w aktualnym układzie współrzędnych (PUWG 2000) i ich odniesienie do obecnych granic działek ewidencyjnych.
Mapy sporządzam najczęściej w sytuacjach:
Zakres opracowania obejmuje:
Proces opracowania obejmuje:
Dokumentację przygotowuję w formie:
Mapy z rozliczeniem hipotecznym wykonuję m.in. dla:
Skontaktuj się ze mną telefonicznie, mailowo lub przez formularz. Wyjaśnię, jakie działania są potrzebne w Twojej sprawie i zaproponuję najlepsze rozwiązanie. Otrzymasz też orientacyjną wycenę.
Po akceptacji oferty przygotowuję niezbędne dokumenty i zgłaszam pracę w odpowiednim ośrodku geodezyjnym. Informuję Cię o przewidywanym czasie realizacji i ewentualnych dokumentach, które należy dostarczyć.
W ustalonym terminie wykonuję pomiary geodezyjne na działce. Następnie opracowuję dokumentację w formie operatu technicznego oraz – w zależności od rodzaju usługi – mapy, szkice, protokoły.
Po zatwierdzeniu operatu przez urząd (jeśli wymagane), gotowe dokumenty przekazuję w umówionej formie – papierowej lub elektronicznej. Otrzymujesz komplet materiałów potrzebnych do dalszych działań: budowy, podziału, uzyskania decyzji.
Lorem ipsum dolor sit amet, consectetur adipiscing elit. Ut elit tellus